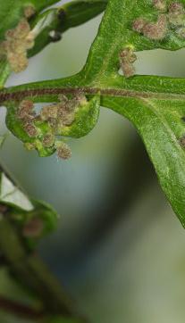
durch Gallmilbe verursachte Missbildung an Beifuß | durch Gallmilben verursachte Missbildung an Beifuß | durch Gallmilben verursachte Missbildung an Beifuß
![]() |
|
![]() |
|||||||
durch Gallmilben verursachte Missbildung an Beifuß
Österreich
·
Jenig, Kärnten,
Foto 23.06.2012 © Ingrid Altmann
Alle Fotos und Inhalte dieser Seiten unterliegen dem Urheberrecht.
© Ingrid Altmann