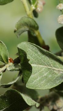
durch Gallmilben verursachte Missbildung an Grauweide | durch Gallmilben verursachte Missbildung an Grauweide | durch Gallmilben verursachte Missbildung an Grauweide
![]() |
|
![]() |
|||||||
durch Gallmilben verursachte Missbildung an Grauweide
Bayerischer Wald
·
Furth im Wald,
Foto 03.06.2012 © Ingrid Altmann
Alle Fotos und Inhalte dieser Seiten unterliegen dem Urheberrecht.
© Ingrid Altmann